Search Land - Set 3 - Commercial Lot
Set 3 - Commercial Lot
$217,500|Listed: Mar 13, 2025
MLS#1258410
713 N Choctaw Ave, Okmulgee, Okmulgee County, Oklahoma
Status:Active
Property Type
- Commercial Acreage
Acreage
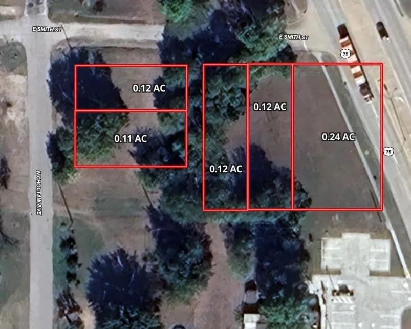
0.69 acres
County
Okmulgee, Oklahoma
Format
Sale
Description
Prime Commercial Lots on HWY 75 - High Traffic & High Potential!
Seize this rare opportunity to own highly visible commercial lots with premium frontage along HWY 75 in Okmulgee. Ideally positioned to capture over 20,000+ vehicles per day, this location offers exceptional exposure for a wide range of businesses.
With utilities available at the road frontage and additional power access behind the lots, infrastructure is in place to support your development. Whether you're looking to establish retail, office, or service-based operations, this site delivers the visibility and accessibility needed to thrive.
Opportunity is knocking-bring your vision and build today! Contact us for more details.
Listing Agent

James Steed
Co-Op Member Owner
G7 Ranches
Tulsa
By submitting, you agree to our privacy policy and terms.
Want to learn more about our financing options?
Enter your email below to receive free resources and information.
By submitting, you agree to our privacy policy and terms.

















