Search Land - Vacant Land in Barrington
Vacant Land in Barrington
$349,000|Listed: May 31, 2024
MLS#1206997
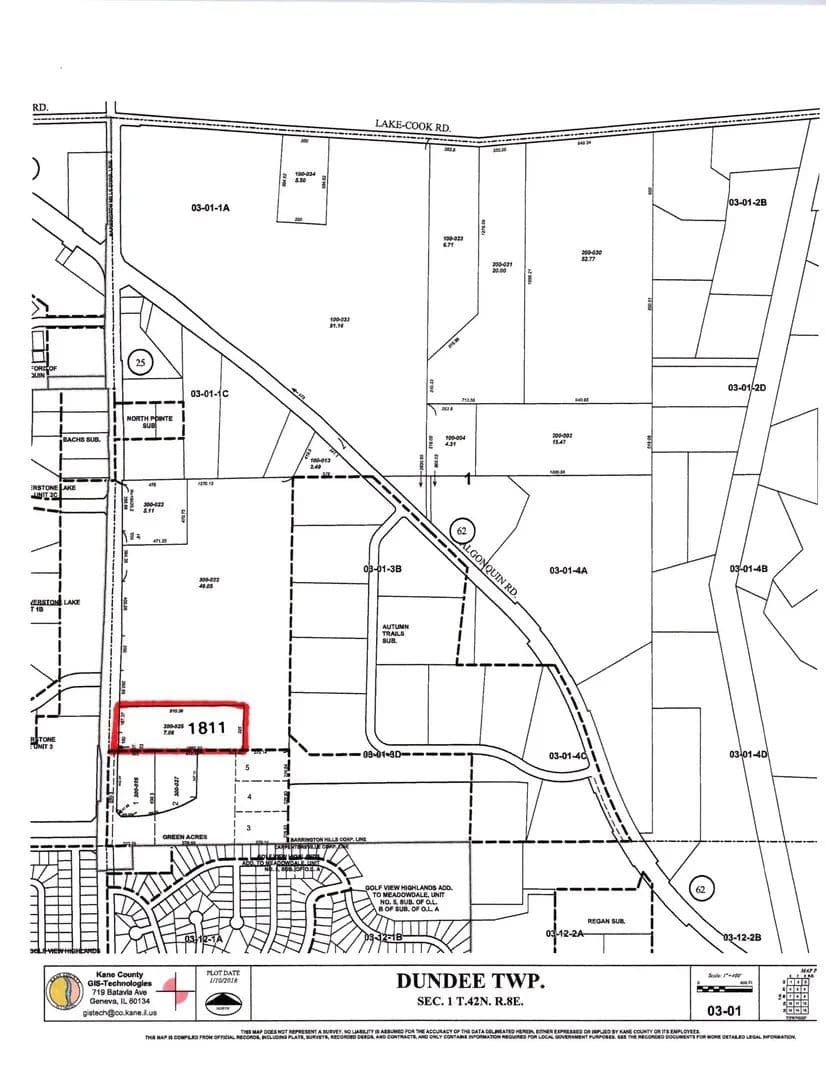
1811 Il Rte 25 (Elgin) Road, Barrington, Kane County, Illinois
Status:Active
Property Type
- Acreage
Acreage
7.08 acres
County
Kane, Illinois
Format
Sale
Features
- Water Well
Description
This 6.79 acre lot is located on Illinois Route 25 also known as Elgin Rd in Barrington Hills, Illinois.Its 325 foot frontage and 910.39 foot depth give it many possibilities.Located adjacent to the north of the new Longmeadow Parkway right of way.Longmeadow Parkway when completed will have great access over the Fox River and will continue west past Randall Road saving time and traffic through the town of Algonquin.The property to the north and east of this lot is now owned by The Bridge Church of Algonquin which has had a special use granted by the Village Of Barrington Hills to build a Church on their 46 acres.To the south of this property is 5.89 acres in Barrington Hills that has a B-3 Business District zoning.Currently the properties zoning is R-1 residential.Slightly wooded in front it clears out in rear for a elevation that slopes to the north and south.Topography drawing and Survey available for review.No soils analysis or soil boring tests are available. Come see the potential
Listing Agent

Dean Tubekis
Co-Op Member Owner
618-Coldwell Banker Realty - Chicago
Long Grove, Illinois
By submitting, you agree to our privacy policy and terms.

Want to learn more about our financing options?
Enter your email below to receive free resources and information.
By submitting, you agree to our privacy policy and terms.

More land for sale from this broker
View All
$700,000|Listed: Mar 15, 2023
4.72 Acres
Barrington Hills, Illinois, 60010

$275,000|Listed: Jun 27, 2023
2.78 Acres
South Barrington, Illinois, 60010

$474,900|Listed: Sep 4, 2025
1.48 Acres
South Barrington, Illinois, 60010




























































