Search Land - Lots & Land-Other in Lubbock
Lots & Land-Other in Lubbock
$0|Listed: Jan 16, 2020
MLS#1112678
SEQ 130th & University, Lubbock, Texas
Status:Active
Property Type
- Acreage
Acreage
70.63 acres
County
, Texas
Format
Sale
Description
LOCATION:
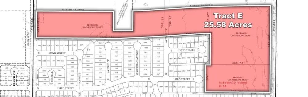
These properties sit in the southeast quadrant of 130th Street & University Avenue.
DESCRIPTION:
Conveniently located with frontage along the future Loop 88 (broke ground in 2018). This great location is in growing south Lubbock and is the commercial frontage of Bell Farms a 1,677 home subdivision and is ideal and ready for commercial development. Tracts are not in the floodplain.
OPTIONS:
Tract A - SOLD
Tract B - $10.00 per Sq. Ft. - 4.33 Acres
Tract C - $9.00 per Sq. Ft. - 2.07 Acres
Tract D - $8.00 per Sq. Ft. - 32.90 Acres
Tract E - $8.00 per Sq. Ft. - 25.58 Acres
(Tracts can be subdivided)
Listing Agent
Beau Tucker
Co-Op Member Owner
Commercial Capital Advisors
Lubbock, Texas
By submitting, you agree to our privacy policy and terms.















